Großgruppe
Dicots / dicotylédones / Zweikeimblättrige
Familie
Rhamnaceae
Gattung
Ziziphus
Taxon
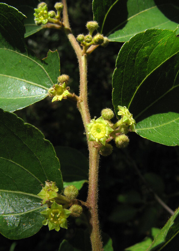
Ziziphus mucronata Willd.
Synonyme
Vernakularname
af: Blinkblaarwag-'n-bietjie; en: buffalo-thorn; fr: jujubier de la hyène
Region
-
Westafrika
-
Zentralafrika
-
Ostafrika
-
Südliches Afrika
Lebensform
- Phanerophyt
Wuchsform
- Strauch
- Baum
- holzig
Weitere Merkmale
- stachelige Sprosse oder Blätter
Farbe
-
grün
-
gelb
Symmetrie
- radiär-symmetrisch
Blütenstand
- zymös
- büschelig
Blütenkrone
- frei
Anzahl der Blütenblätter
- 5
Anzahl der Staubblätter
- niedrig (<=10)
Typ
- Steinfrucht
Perikarp
- fleischig
Dehiszenz
- Schließfrucht
Oberfläche
- unbehaart, glatt
Anordnung
- wechselständig
Struktur
- einfach
Form
- eiförmig oder elliptisch
Rand
- gesägt, gekerbt, etc.
Nervatur
- palmat
- dreinervig
Links
- African Plant Database Namen, Synonymie und Verbreitung
- World Flora Online Beschreibungen, Verbreitung und Bibliographie
- JSTOR Plants Digitalisierte Typusbelege, Beschreibungen und Nutzung
- IPNI International Plant Names Index
- Tropicos Nomenklatur, Literatur, Verbreitung und Sammlungen
- GBIF Global Biodiversity Information Facility
- iNaturalist Fotobeobachtungen
- Google Images Bilder
- Zimbabwe Flora Onlineflora