Großgruppe
Dicots / dicotylédones / Zweikeimblättrige
Familie
Rhamnaceae
Gattung
Ziziphus
Taxon
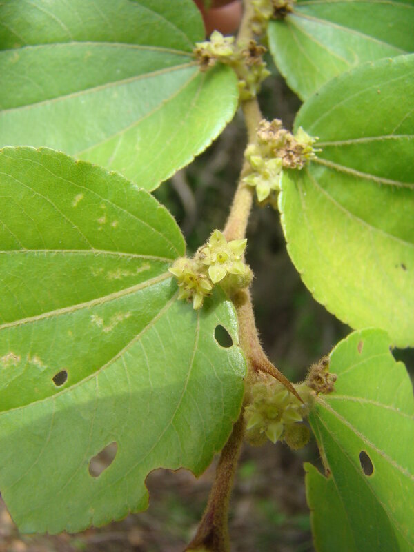
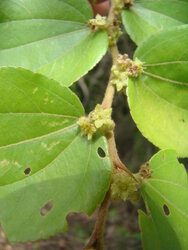
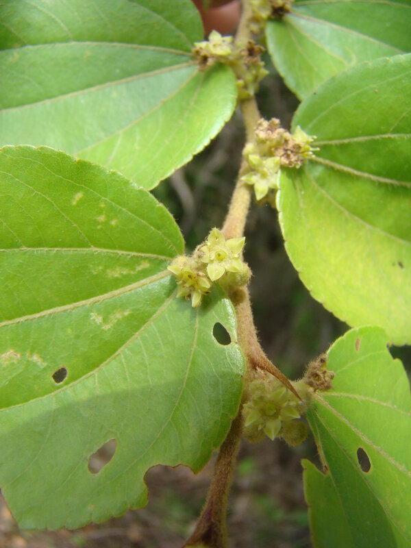
Ziziphus mucronata Willd. subsp. mucronata
Synonyme
Vernakularname
Region
-
Zentralafrika
-
Ostafrika
-
Südliches Afrika
Lebensform
Wuchsform
Weitere Merkmale
Farbe
Symmetrie
Blütenstand
Blütenkrone
Anzahl der Blütenblätter
Anzahl der Staubblätter
Typ
Perikarp
Dehiszenz
Oberfläche
Anordnung
Struktur
Form
Rand
Nervatur
Links
- African Plant Database Namen, Synonymie und Verbreitung
- World Flora Online Beschreibungen, Verbreitung und Bibliographie
- JSTOR Plants Digitalisierte Typusbelege, Beschreibungen und Nutzung
- IPNI International Plant Names Index
- Tropicos Nomenklatur, Literatur, Verbreitung und Sammlungen
- GBIF Global Biodiversity Information Facility
- iNaturalist Fotobeobachtungen
- Google Images Bilder
- Zimbabwe Flora Onlineflora