Großgruppe
Dicots / dicotylédones / Zweikeimblättrige
Familie
Euphorbiaceae
Gattung
Jatropha
Taxon
Jatropha curcas L.
Synonyme
Jatropha curcas var. glabrata Schumach. & Thonn.
Vernakularname
en: purgenut, physicnut; fr: pourguère, médicinier, pignon d´Inde; de: Purgiernuss; es: frailejón, piñon
Region
-
Westafrika
-
Zentralafrika
-
Ostafrika
-
Südliches Afrika
Lebensform
- Phanerophyt
Wuchsform
- Strauch
- Sukkulente
- Baum
- holzig
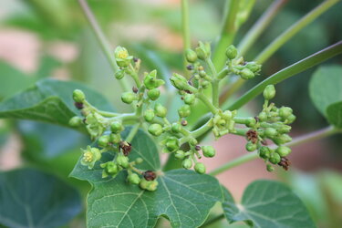
Weitere Merkmale
- Milchsaft
Farbe
-
grün
-
gelb
Symmetrie
- radiär-symmetrisch
Blütenstand
- büschelig
- rispig
Blütenkrone
- (z.T.) verwachsen
- frei
Anzahl der Blütenblätter
- 5
Anzahl der Staubblätter
- niedrig (<=10)
Typ
- Kapsel
Perikarp
- fleischig
Dehiszenz
- Streu- oder Spaltfrucht
Oberfläche
- unbehaart, glatt
Anordnung
- wechselständig
Struktur
- einfach
Form
- herzförmig
- eiförmig oder elliptisch
Rand
- ganzrandig
Nervatur
- palmat
Links
- African Plant Database Namen, Synonymie und Verbreitung
- World Flora Online Beschreibungen, Verbreitung und Bibliographie
- JSTOR Plants Digitalisierte Typusbelege, Beschreibungen und Nutzung
- IPNI International Plant Names Index
- Tropicos Nomenklatur, Literatur, Verbreitung und Sammlungen
- GBIF Global Biodiversity Information Facility
- iNaturalist Fotobeobachtungen
- Google Images Bilder
- Zimbabwe Flora Onlineflora