Großgruppe
Dicots / dicotylédones / Zweikeimblättrige
Familie
Fabaceae
Gattung
Indigofera
Taxon
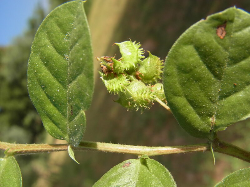
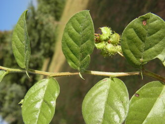
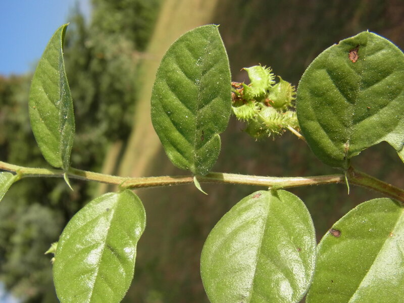
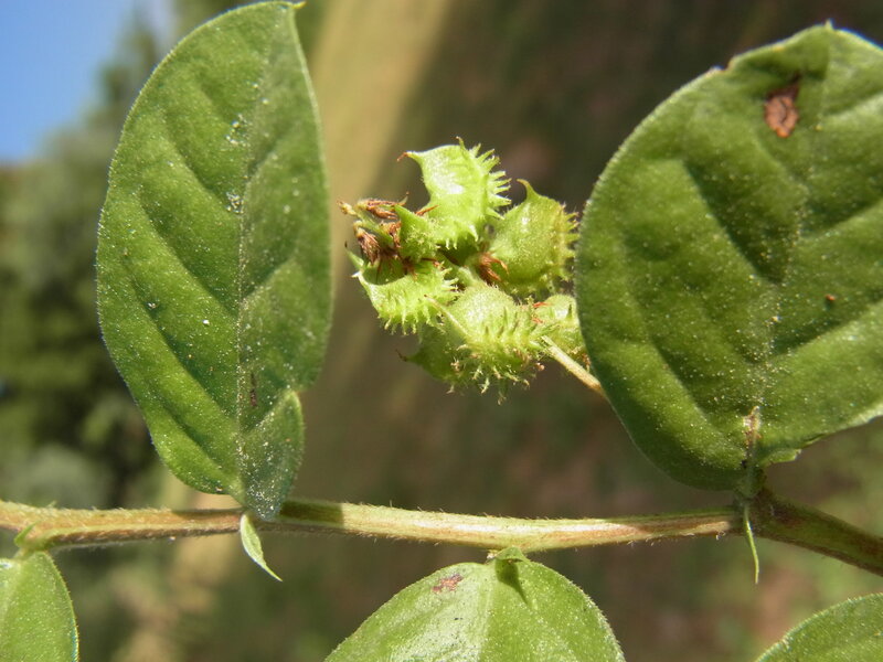
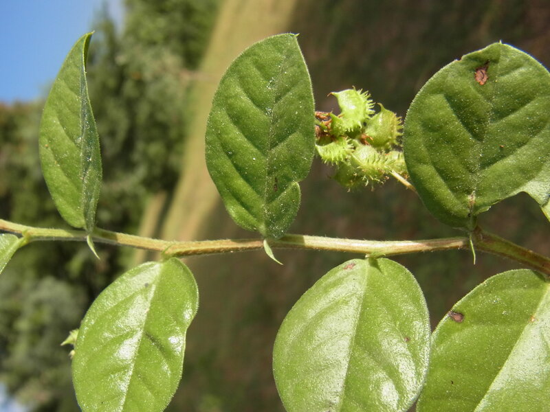
Indigofera nummulariifolia (L.) Livera ex Alston
Synonyme
Vernakularname
Region
-
Westafrika
-
Zentralafrika
-
Ostafrika
-
Südliches Afrika
Lebensform
- Therophyt
Wuchsform
- Kraut
Weitere Merkmale
Farbe
-
rot
Symmetrie
- zygomorph
Blütenstand
- traubig
Blütenkrone
- (z.T.) verwachsen
Anzahl der Blütenblätter
- 5
Anzahl der Staubblätter
- niedrig (<=10)
Typ
- Hülse
Perikarp
- trocken
Dehiszenz
- Streu- oder Spaltfrucht
- Schließfrucht
Oberfläche
Anordnung
- wechselständig
Struktur
- einfach
Form
- eiförmig oder elliptisch
Rand
- ganzrandig
- gesägt, gekerbt, etc.
Nervatur
- fiedernervig
Links
- African Plant Database Namen, Synonymie und Verbreitung
- World Flora Online Beschreibungen, Verbreitung und Bibliographie
- JSTOR Plants Digitalisierte Typusbelege, Beschreibungen und Nutzung
- IPNI International Plant Names Index
- Tropicos Nomenklatur, Literatur, Verbreitung und Sammlungen
- GBIF Global Biodiversity Information Facility
- iNaturalist Fotobeobachtungen
- Google Images Bilder
- Zimbabwe Flora Onlineflora