Großgruppe
Dicots / dicotylédones / Zweikeimblättrige
Familie
Phyllanthaceae
Gattung
Bridelia
Taxon
Bridelia scleroneura subsp. angolensis (Welw. ex Müll. Arg.) Radcl.-Sm.
Synonyme
Bridelia angolensis Welw. ex Müll. Arg.
Vernakularname
Region
-
Südliches Afrika
Lebensform
- Phanerophyt
Wuchsform
- Strauch
- Baum
Weitere Merkmale
Farbe
Symmetrie
Blütenstand
Blütenkrone
Anzahl der Blütenblätter
Anzahl der Staubblätter
Typ
- Beere
Perikarp
- fleischig
Dehiszenz
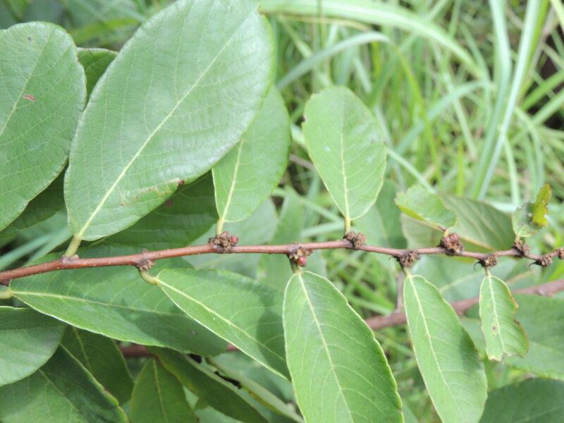
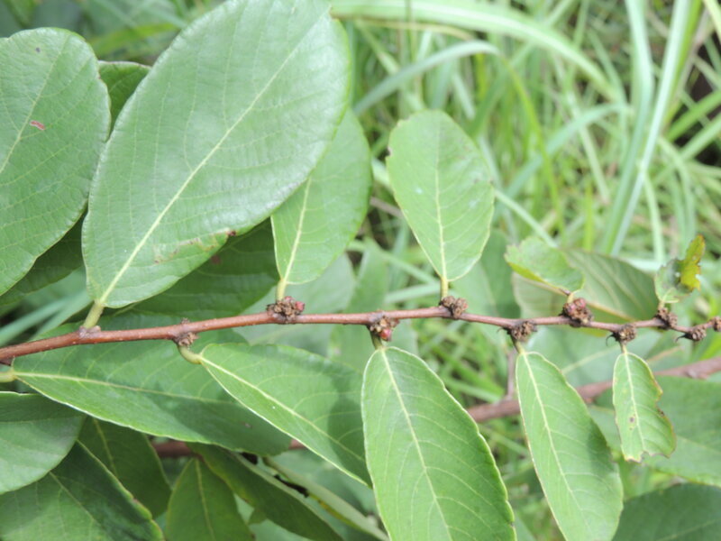
Oberfläche
- unbehaart, glatt
Anordnung
- wechselständig
Struktur
- einfach
Form
- eiförmig oder elliptisch
Rand
Nervatur
- fiedernervig
Links
- African Plant Database Namen, Synonymie und Verbreitung
- World Flora Online Beschreibungen, Verbreitung und Bibliographie
- JSTOR Plants Digitalisierte Typusbelege, Beschreibungen und Nutzung
- IPNI International Plant Names Index
- Tropicos Nomenklatur, Literatur, Verbreitung und Sammlungen
- GBIF Global Biodiversity Information Facility
- iNaturalist Fotobeobachtungen
- Google Images Bilder
- Zimbabwe Flora Onlineflora