Großgruppe
Dicots / dicotylédones / Zweikeimblättrige
Familie
Malpighiaceae
Gattung
Flabellaria
Taxon
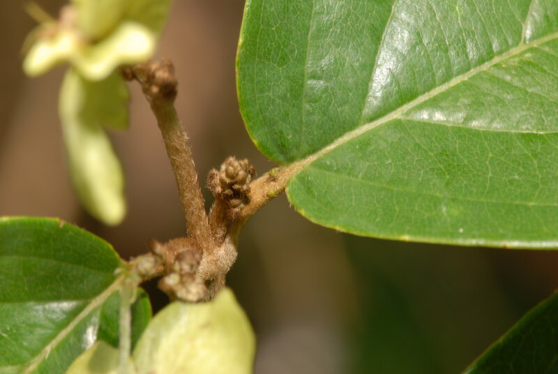
Flabellaria paniculata Cav.
Synonyme
Vernakularname
Region
-
Westafrika
-
Zentralafrika
-
Ostafrika
Lebensform
- Phanerophyt
Wuchsform
- Schlingpflanze
- holzig
Weitere Merkmale
Farbe
-
rosa
-
weiß
Symmetrie
- radiär-symmetrisch
Blütenstand
- rispig
- traubig
Blütenkrone
- frei
Anzahl der Blütenblätter
- 5
Anzahl der Staubblätter
- niedrig (<=10)
Typ
- Nuss
Perikarp
- trocken
Dehiszenz
- Schließfrucht
Oberfläche
- geflügelt
Anordnung
- gegenständig
Struktur
- einfach
Form
- länglich bis linear
- eiförmig oder elliptisch
Rand
- ganzrandig
Nervatur
- fiedernervig
Links
- African Plant Database Namen, Synonymie und Verbreitung
- World Flora Online Beschreibungen, Verbreitung und Bibliographie
- JSTOR Plants Digitalisierte Typusbelege, Beschreibungen und Nutzung
- IPNI International Plant Names Index
- Tropicos Nomenklatur, Literatur, Verbreitung und Sammlungen
- GBIF Global Biodiversity Information Facility
- iNaturalist Fotobeobachtungen
- Google Images Bilder
- Zimbabwe Flora Onlineflora