Großgruppe
Dicots / dicotylédones / Zweikeimblättrige
Familie
Salicaceae
Gattung
Oncoba
Taxon
Oncoba brachyanthera Oliv.
Synonyme
Vernakularname
Region
-
Westafrika
-
Zentralafrika
Lebensform
- Phanerophyt
Wuchsform
- Strauch
- Baum
- holzig
Weitere Merkmale
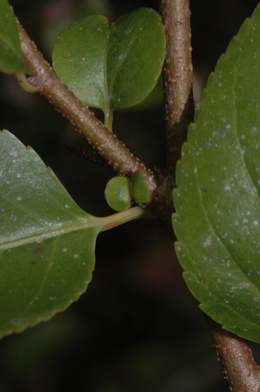
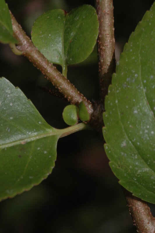
- stachelige Sprosse oder Blätter
Farbe
-
weiß
Symmetrie
- radiär-symmetrisch
Blütenstand
- einzel- oder wenigblütig
Blütenkrone
- frei
Anzahl der Blütenblätter
- >6
Anzahl der Staubblätter
- hoch (>10)
Typ
- Beere
Perikarp
- fleischig
- trocken
Dehiszenz
- Schließfrucht
Oberfläche
- unbehaart, glatt
Anordnung
- wechselständig
Struktur
- einfach
Form
- kreisrund
- eiförmig oder elliptisch
Rand
- gesägt, gekerbt, etc.
Nervatur
- fiedernervig
Links
- African Plant Database Namen, Synonymie und Verbreitung
- World Flora Online Beschreibungen, Verbreitung und Bibliographie
- JSTOR Plants Digitalisierte Typusbelege, Beschreibungen und Nutzung
- IPNI International Plant Names Index
- Tropicos Nomenklatur, Literatur, Verbreitung und Sammlungen
- GBIF Global Biodiversity Information Facility
- iNaturalist Fotobeobachtungen
- Google Images Bilder
- Zimbabwe Flora Onlineflora