Großgruppe
Dicots / dicotylédones / Zweikeimblättrige
Familie
Chrysobalanaceae
Gattung
Dactyladenia
Taxon
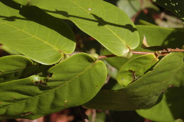
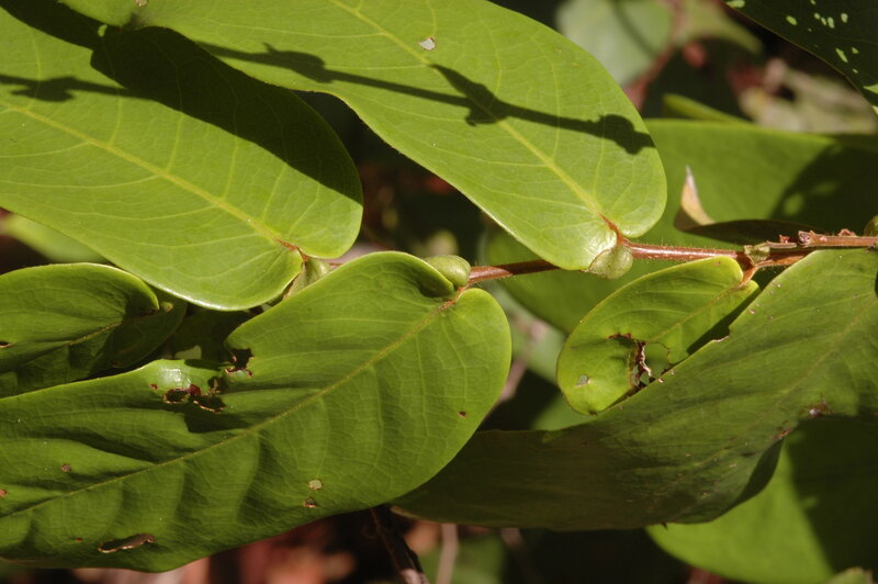
Dactyladenia floretii Breteler
Synonyme
Vernakularname
Region
-
Zentralafrika
Lebensform
- Phanerophyt
Wuchsform
- Schlingpflanze
- Strauch
- holzig
Weitere Merkmale
- Drüsenpunkte oder -linien
- große Nebenblätter
Farbe
-
weiß
Symmetrie
- zygomorph
Blütenstand
- traubig
Blütenkrone
- (z.T.) verwachsen
Anzahl der Blütenblätter
- 5
Anzahl der Staubblätter
- hoch (>10)
Typ
- Steinfrucht
Perikarp
- fleischig
Dehiszenz
- Schließfrucht
Oberfläche
- behaart
Anordnung
- wechselständig
Struktur
- einfach
Form
- länglich bis linear
- eiförmig oder elliptisch
Rand
- ganzrandig
Nervatur
- fiedernervig
Links
- African Plant Database Namen, Synonymie und Verbreitung
- World Flora Online Beschreibungen, Verbreitung und Bibliographie
- JSTOR Plants Digitalisierte Typusbelege, Beschreibungen und Nutzung
- IPNI International Plant Names Index
- Tropicos Nomenklatur, Literatur, Verbreitung und Sammlungen
- GBIF Global Biodiversity Information Facility
- iNaturalist Fotobeobachtungen
- Google Images Bilder
- Zimbabwe Flora Onlineflora