Großgruppe
Dicots / dicotylédones / Zweikeimblättrige
Familie
Malvaceae
Gattung
Cola
Taxon
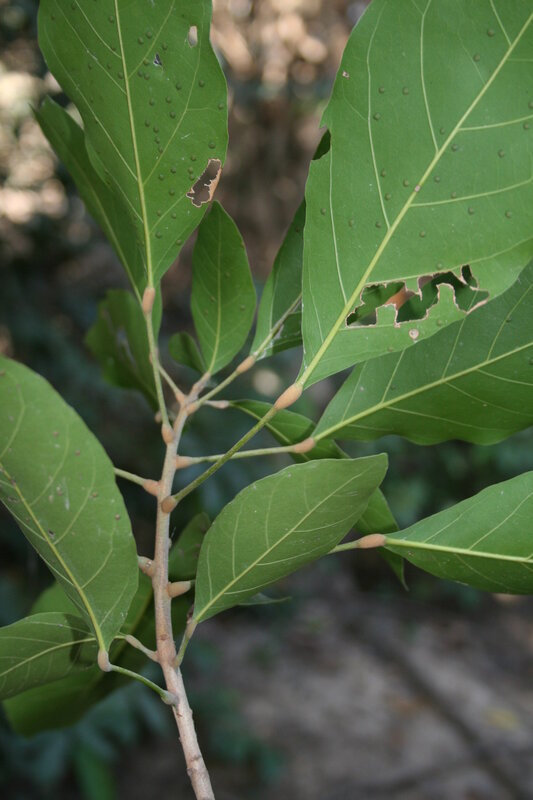
Cola laurifolia Mast.
Synonyme
Vernakularname
en: laurel-leaved cola; fr: komonbélo
Region
-
Westafrika
Lebensform
- Phanerophyt
Wuchsform
- Baum
- holzig
Weitere Merkmale
Farbe
-
weiß
-
gelb
Symmetrie
- radiär-symmetrisch
Blütenstand
- zymös
Blütenkrone
Anzahl der Blütenblätter
- 0
Anzahl der Staubblätter
Typ
- Balg
Perikarp
- trocken
Dehiszenz
- Streu- oder Spaltfrucht
Oberfläche
- behaart
Anordnung
- wechselständig
Struktur
- einfach
Form
- eiförmig oder elliptisch
Rand
- ganzrandig
Nervatur
- fiedernervig
Links
- African Plant Database Namen, Synonymie und Verbreitung
- World Flora Online Beschreibungen, Verbreitung und Bibliographie
- JSTOR Plants Digitalisierte Typusbelege, Beschreibungen und Nutzung
- IPNI International Plant Names Index
- Tropicos Nomenklatur, Literatur, Verbreitung und Sammlungen
- GBIF Global Biodiversity Information Facility
- iNaturalist Fotobeobachtungen
- Google Images Bilder
- Zimbabwe Flora Onlineflora