Großgruppe
Dicots / dicotylédones / Zweikeimblättrige
Familie
Salicaceae
Gattung
Dissomeria
Taxon
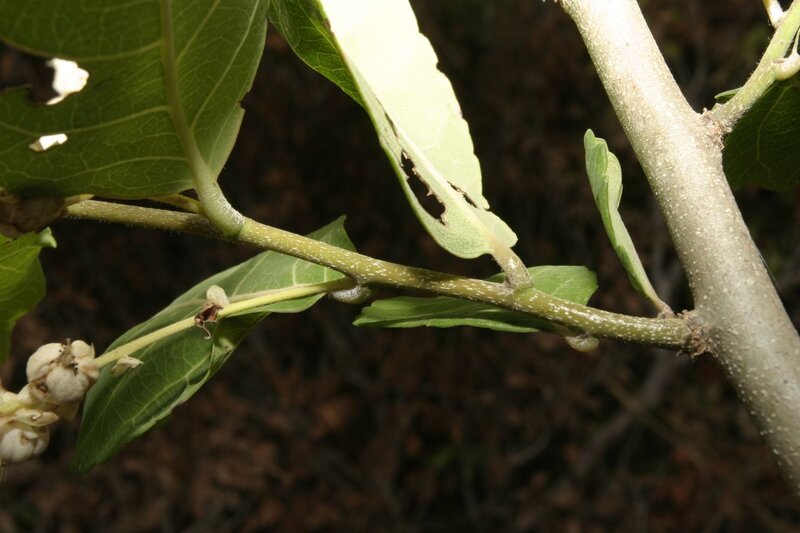
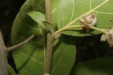
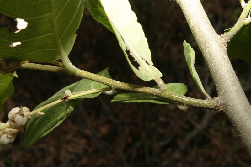
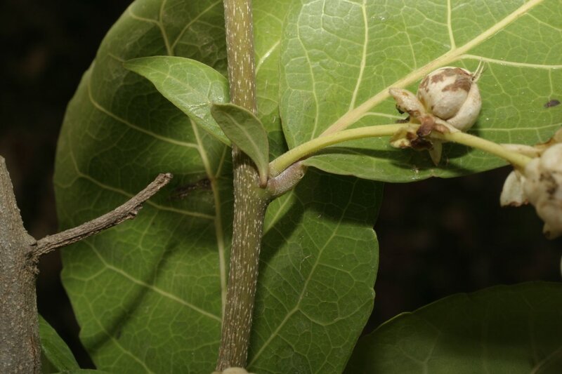
Dissomeria crenata Hook.f. ex Benth.
Synonyme
Vernakularname
Region
-
Westafrika
Lebensform
- Phanerophyt
Wuchsform
- Strauch
- Baum
Weitere Merkmale
Farbe
-
weiß
Symmetrie
- radiär-symmetrisch
Blütenstand
- ährig
Blütenkrone
Anzahl der Blütenblätter
Anzahl der Staubblätter
Typ
Perikarp
Dehiszenz
Oberfläche
Anordnung
- wechselständig
Struktur
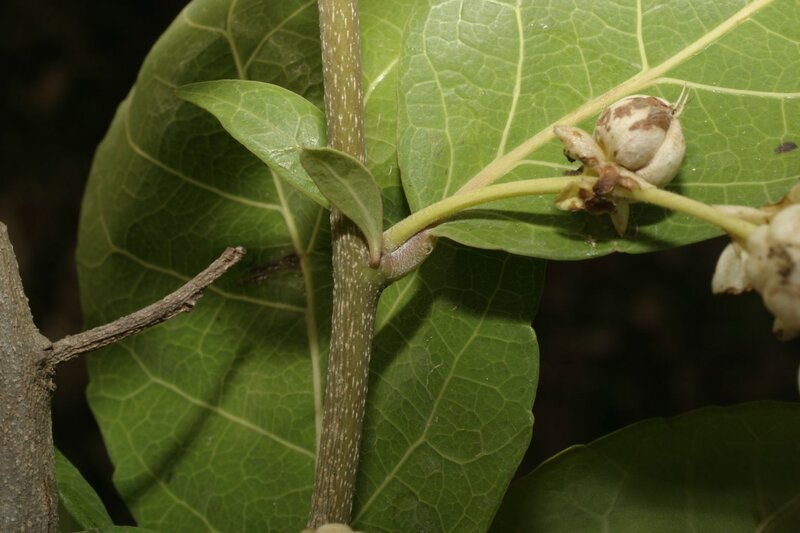
- einfach
Form
- eiförmig oder elliptisch
Rand
- gesägt, gekerbt, etc.
Nervatur
- fiedernervig
Links
- African Plant Database Namen, Synonymie und Verbreitung
- World Flora Online Beschreibungen, Verbreitung und Bibliographie
- JSTOR Plants Digitalisierte Typusbelege, Beschreibungen und Nutzung
- IPNI International Plant Names Index
- Tropicos Nomenklatur, Literatur, Verbreitung und Sammlungen
- GBIF Global Biodiversity Information Facility
- iNaturalist Fotobeobachtungen
- Google Images Bilder
- Zimbabwe Flora Onlineflora