Großgruppe
Dicots / dicotylédones / Zweikeimblättrige
Familie
Phyllanthaceae
Gattung
Margaritaria
Taxon
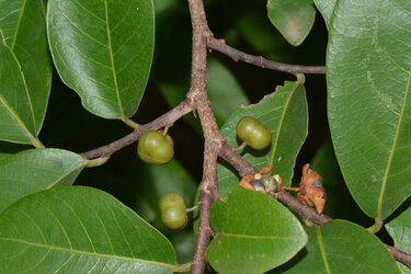
Margaritaria discoidea (Baill.) G.L.Webster
Synonyme
Phyllanthus discoideus (Baill.) Müll.Arg.
Vernakularname
Region
-
Westafrika
-
Zentralafrika
-
Ostafrika
-
Südliches Afrika
Lebensform
- Phanerophyt
Wuchsform
- Strauch
- Baum
- holzig
Weitere Merkmale
Farbe
-
grün
Symmetrie
- radiär-symmetrisch
Blütenstand
- büschelig
Blütenkrone
Anzahl der Blütenblätter
- 0
Anzahl der Staubblätter
- niedrig (<=10)
Typ
- Kapsel
- Steinfrucht
Perikarp
- fleischig
Dehiszenz
- Streu- oder Spaltfrucht
- Schließfrucht
Oberfläche
- unbehaart, glatt
- behaart
Anordnung
- wechselständig
Struktur
- einfach
Form
- kreisrund
- eiförmig oder elliptisch
Rand
- ganzrandig
Nervatur
- fiedernervig
Links
- African Plant Database Namen, Synonymie und Verbreitung
- World Flora Online Beschreibungen, Verbreitung und Bibliographie
- JSTOR Plants Digitalisierte Typusbelege, Beschreibungen und Nutzung
- IPNI International Plant Names Index
- Tropicos Nomenklatur, Literatur, Verbreitung und Sammlungen
- GBIF Global Biodiversity Information Facility
- iNaturalist Fotobeobachtungen
- Google Images Bilder
- Zimbabwe Flora Onlineflora